Falconara
LINEA FERROVIARIA ADRIATICA
REALIZZAZIONE DELLA VARIANTE DI FALCONARA
Committente: RFI
L’intervento in oggetto consiste nella realizzazione di una variante della Linea ferroviaria Bologna-Ancona in corrispondenza del nodo di Falconara Marittima (zona impianto petrolifero API), l’intervento prevede anche la realizzazione di una bretella di connessione diretta (direzione nord) alla Iinea Orte-Falconara a singolo binario.
L’opera ha uno sviluppo complessivo di circa 5,6 Km, con origine al Km 191+160 della Linea Adriatica a sud della attuale stazione di Montemarciano (all’incirca all’altezza della Marina di Rocca Priora) e reimmissione sulla sede attuale circa 1,0 km a monte della stazione di Falconara per la quale è prevista una sostanziale riconfigurazione del piano di stazione con passaggio dagli attuali n. 8 binari ai n. 5 di progetto (2 della Orte – Falconara, 2 di corsa ed 1 di precedenza).
La bretella di connessione diretta con la Orte-Falconara è costituita da un binario che staccandosi dalla variante all’altezza dell’area della “ex Caserma”, con uno sviluppo di circa 1,5 Km, si allaccia all’incirca all’altezza della fermata “Stadio di Falconara”.
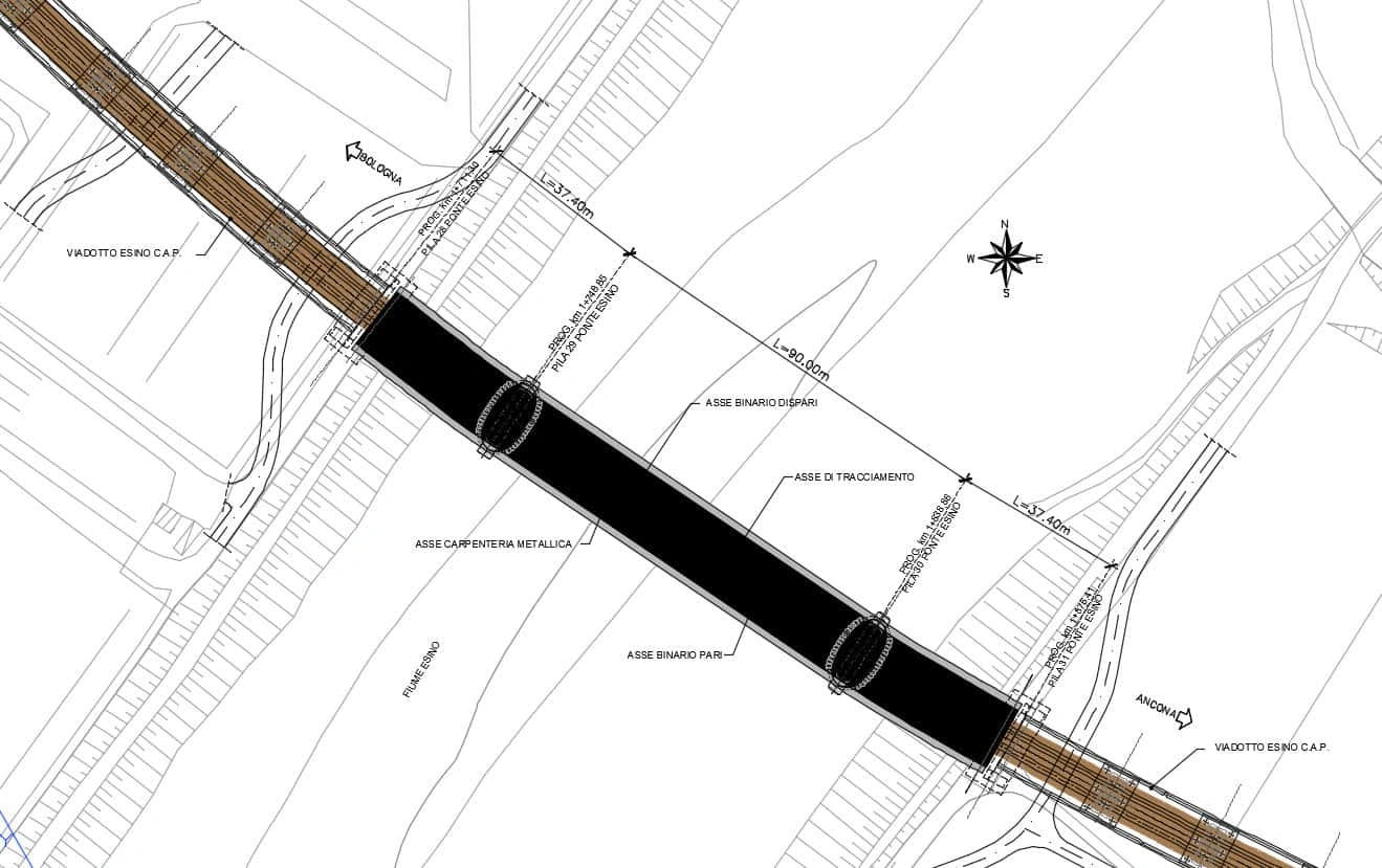
Il tracciato si sviluppa in gran parte in viadotto garantendo in questa maniera un’adeguata permeabilità al territorio attraversato e come opere connesse è previsto lo smantellamento dello scalo merci della stazione di Falconara.
La variante alla Linea “Adriatica” ha inizio poco oltre l’attuale stazione di Montemarciano. Lo sviluppo complessivo della variante è pari a 5.628m, in particolare l’intervento completo termina al Fabbricato Viaggiatori della stazione di Falconara Marittima (progr. 4+406) per la restante parte è previsto il rifacimento del solo armamento con eccezione del binario di precedenza di progetto per il quale l’intervento termina alla progr. 4+781.
La bretella di collegamento alla Iinea Orte-Falconara ha inizio al km 2+572,98 della variante e, dopo uno sviluppo di 1520.14 m, si innesta sulla Linea Romana (Orte- Falconara) all’altezza del km 283+392 circa.
La variante della “Adriatica” consiste in una nuova linea ferroviaria a doppio binario che si sviluppa a monte dell’attuale
